
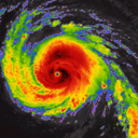
Hurricane Humberto
Hurricane Humberto News
Islamabad suicide blast kills 31
MRF profit doubles
T20 World Cup opening ceremony
VTU adopts Artificial Super Intelligence
Raja Saab extended cut
UAE expected to win
U19 World Cup in Harare
Jio Hotstar buys Dhurandhar rights
India A vs Namibia live