Home / Weather / Catastrophic Hurricane Melissa Targets Jamaica, Threatens Caribbean
Catastrophic Hurricane Melissa Targets Jamaica, Threatens Caribbean
28 Oct
Summary
- Hurricane Melissa forecast to become a catastrophic Category 5 storm
- Storm expected to bring devastating winds, flooding, and storm surge to Jamaica
- Cuba and Bahamas also areas of concern as Melissa moves through the Caribbean

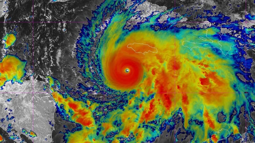
According to the latest forecast, Hurricane Melissa is expected to strengthen into a catastrophic Category 5 storm as it approaches Jamaica. The hurricane is currently tracking towards the island and is predicted to make landfall on Tuesday, bringing with it devastating winds, flash flooding, and a significant storm surge.
The National Oceanic and Atmospheric Administration (NOAA) is closely monitoring the storm's progress, and the impact is expected to be severe for Jamaica. In addition to the island, Cuba and the Bahamas are also areas of concern as Melissa moves through the Caribbean region.
While the hurricane poses a significant threat to the Caribbean, Florida and the rest of the United States are not currently considered to be at risk from the storm. Authorities are urging residents in the affected areas to closely follow the latest updates and take necessary precautions to ensure their safety.


